CHO THUÊ NHÀ XƯỞNG – TÂN THÀNH, BRVT – 17.400 m²
Thông tin chi tiết
Vị trí: Tân Thành, Bà Rịa – Vũng Tàu (gần KCN Châu Đức)
Tổng diện tích khuôn viên: 25.000 m²
Tổng diện tích nhà xưởng: 17.400 m²
Hiện ... trạng & pháp lý
Xưởng đang trong quá trình xây dựng
Pháp lý rõ ràng, phù hợp thuê sản xuất lâu dài
Quy mô xây dựng
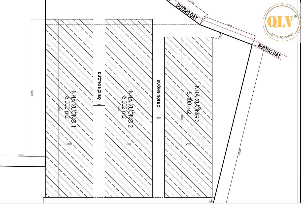
Nhà xưởng 1 (X1): 6.000 m²
Nhà xưởng 2 (X2): 6.000 m²
Nhà xưởng 3 (X3): 5.400 m²
Hạ tầng kỹ thuật
Hạ tầng mới, đồng bộ theo tiêu chuẩn khu công nghiệp
Đáp ứng tốt nhu cầu sản xuất đa ngành nghề
Đặc điểm khu xưởng
Quy mô lớn, gồm nhiều nhà xưởng riêng biệt, linh hoạt sử dụng
Thiết kế hiện đại, phù hợp doanh nghiệp sản xuất và logistics
Vị trí gần KCN Châu Đức, thuận tiện kết nối giao thông và chuỗi cung ứng
Phù hợp thuê dài hạn cho các doanh nghiệp trong và ngoài nước
Liên hệ
CÔNG TY TNHH MTV QUÝ LỘC VƯỢNG
Hotline: 0931 769 444
Website: https://nhaxuongmiennam.vn/

